





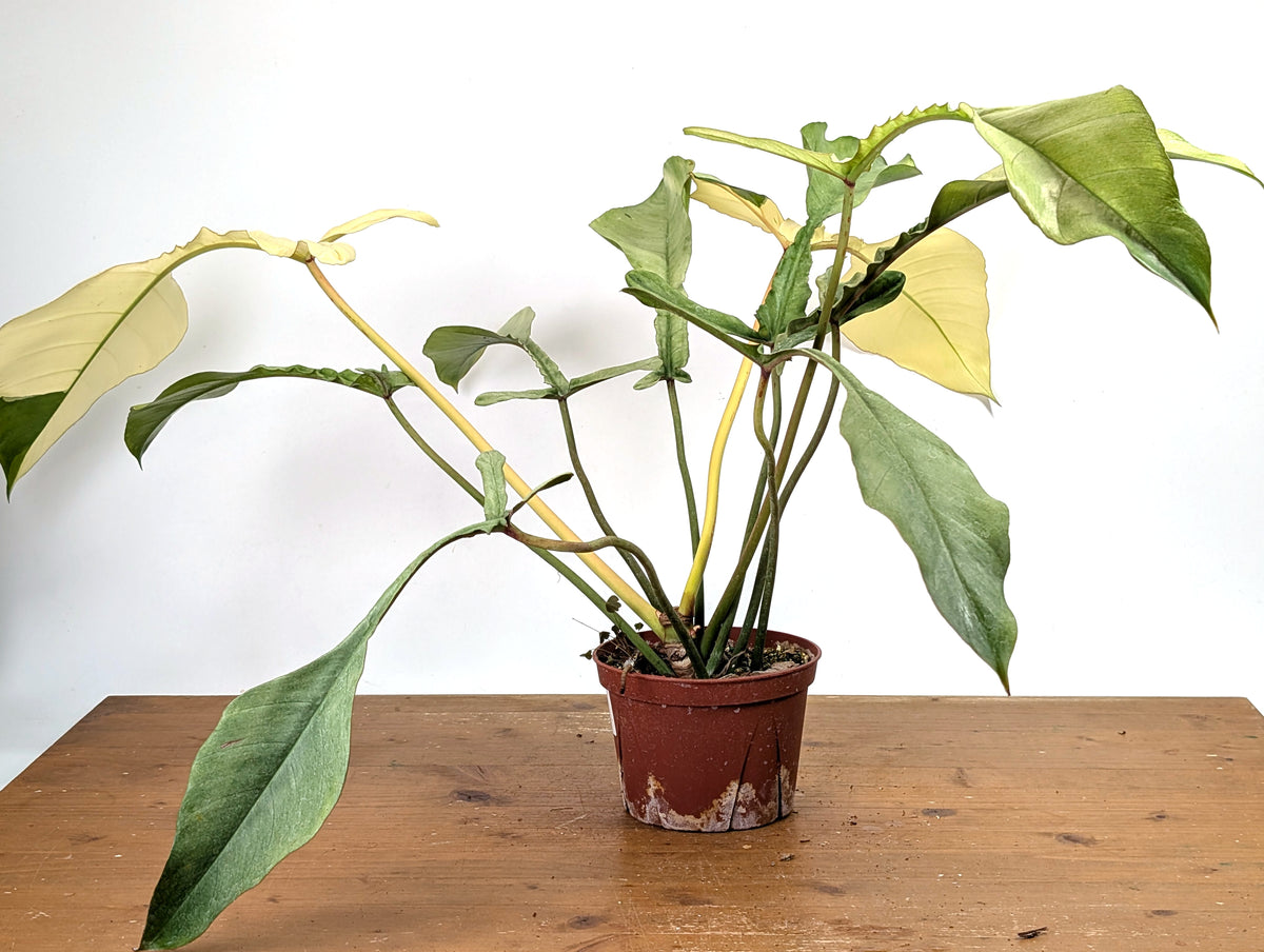
Philodendron Joepii Variegated Mint - Exact Plant #13A
Philodendron Joepii Mint
Philodendron × joepii 'Mint'
A variegated form of one of the most botanically unusual philodendrons in cultivation, the Joepii Mint layers soft mint-green variegation over the already extraordinary leaf silhouette that made the species famous — the unmistakable elongated, tri-lobed form with a narrow, pinched central blade that dramatically widens at the tips, resembling an abstract bowtie or open-ended spade. First discovered in the rainforests of French Guiana in 1991 by Dutch botanist Joep Moonen, the initial specimen was so unusual that it was initially mistaken for a plant with insect damage rather than a naturally occurring species. Both the standard form and its variegated expressions are genuinely rare in cultivation, making the Mint form — with its delicate, cool-toned variegation expressed as marbling and irregular sectors of pale mint against deep green — an exceptionally sought-after collector grail. Variegation can be environmentally influenced and may be more pronounced during cooler growing conditions.
This cultivar is a slow-growing climber that benefits significantly from a firm moss pole or trellis — vertical support encourages the development of increasingly larger, more dramatically formed mature leaves. Provide bright indirect light to support healthy growth and the clearest variegation expression; insufficient light further slows an already deliberate growth rate. Water when the top 1-2" of medium is dry, using a well-draining, chunky aroid mix of orchid bark, perlite, and coco coir — the mint-toned variegated sectors are more susceptible to browning in low humidity than the green tissue. Humidity of 65-80% is strongly recommended. Maintain warm temperatures between 65-85°F and avoid cold exposure, which this species is particularly intolerant of. Toxic to humans and pets if ingested.
Every live plant is unique. Your plant will be cared for like it's our own and selected especially for you.
Plants listed as "EXACT" in the title will be the exact plant pictured. Feel free to contact us with any questions before placing your order — we're here to make your experience easy and enjoyable.
Ships in 3–5 business days via UPS Ground. Expedited delivery options are available at checkout.
Cold protection packaging is available for orders shipping to colder climates — add it here.























